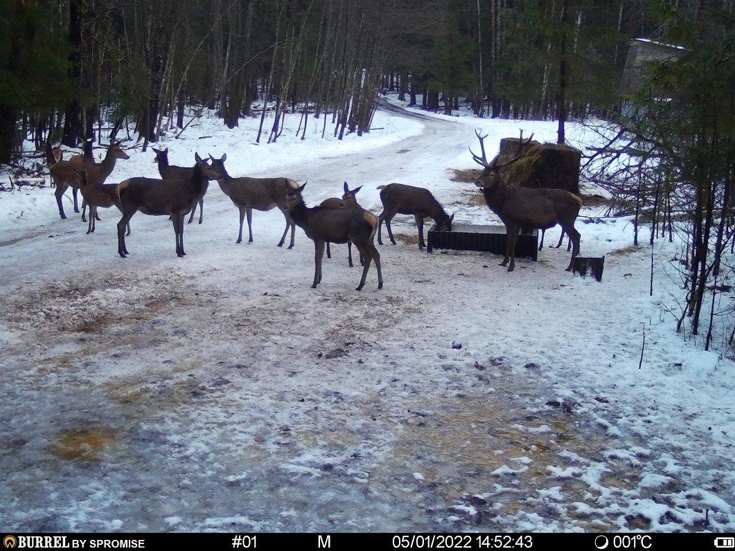
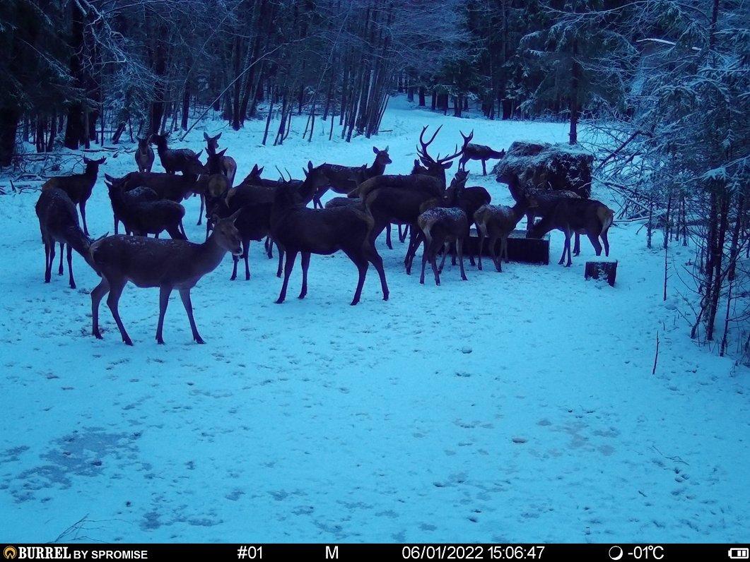
Создание оленьего сада на окраине Огре началось в 2004 году; сначала была создана огороженная территория площадью 100 га, а затем туда завезли оленей. Цель состояла в том, чтобы создать популяцию благородного оленя с высококачественной генетикой, выпустив животных пастись в леса рядом с Ригой. Это случилось в те дни, когда у руководства Рижской думой в моде были ПИАР и показуха, с последствиями которых разбираться приходится управленцам нынешнего поколения.
На самом деле все эти годы никто толком не занимался селекционной работой, олени свободно размножались, в результате чего стадо генетически деградировало, пояснил член правления “Rīgas meži” Янис Германис.


Руководство лесного предприятия не видит рациональной основы существования стада и смысла в его дальнейшем содержании за счет налогов рижан. На содержание оленей ежегодно уходит около 40 тыс. евро ежегодно. За весь период на содержание стада затрачено около полумиллиона евро, которые по мнению лесоводов могли бы быть использованы с большей пользой. Неоднократно предпринимались попытки найти финансирование, но – безуспешно. Никто не интересовался ни покупкой благородных оленей, ни охотой на них: животные не подходят для содержания в зоопарках, потому что привыкли к большей площади. Выпускать их в дикую природу также нельзя, из-за привычки к людям и возможным отклонениям в поведении. Охота на животных в вольерах не представляет интереса для охотников Латвии, так как в дикой природе их предостаточно.


“Rīgas meži” обратилась в Союз охотников Латвии (LMS) с просьбой дать заключение о дальнейших действиях в отношении стада благородных оленей и вольера.
В заключении LMS от 6 марта 2023 года говорится: «Открытие зоопарка и выпуск животных на волю — самое неподходящее решение. Животные, долгое время (несколько поколений) содержащиеся в вольерах, возможно, утратили страх перед человеком, поэтому при выпуске в дикую природу поведение этих животных непредсказуемо. Качество благородных оленей, живущих в оленьем саду SIA “Rīgas meži”, не настолько высокое, чтобы мы старались сохранить генетический потенциал этих животных. Перемещение благородных оленей в другие районы является дорогостоящей и трудоемкой задачей. Популяция благородного оленя в Латвии многочисленна, и его генетическое качество хорошее, поэтому эта мера не поддерживается из соображений полезности.



Янис Бауманис, председатель правления Латвийского союза охотников, пояснил: «На самом деле это ферма, и ничего больше, как бы нам ни было трудно принять, что олень может быть домашним скотом. В данном случае это домашний скот. С сеном в этом году очень грустно, поверьте, будет много хозяйств, которые решат выбраковать или сильно сократить стада именно потому, что нет корма или они не могут себе позволить его купить, потому что он слишком такой дорогой. С оленями аналогичная ситуация – в какой-то момент приходится признать, что их содержание слишком дорого и в отсутствии лиц заинтересованных в покупке живых оленей, нет альтернативы их отстрелу, , как бы резко это не звучало”.
Данное заключение вызвало возмущение общественности. В СМИ появились сообщения о намерении “пристрелить” всех, включая беременных олених, аморальности лесников и защите прав животных.
Элита Калниня, представитель Клуба защиты окружающей среды, заявила, что намерение уничтожить оленей аморально: в начале года «Рижская дума собиралась объявить месяц без мяса», но теперь собираются убить более чем 40 оленей. По ее словам, следует рассмотреть и другие решения: оленей можно использовать для выпаса на лугах в или стерилизовать, чтобы они больше не размножались.
Что касается беременных олених, то в данное время в стаде их быть не может даже теоретически. Гон начинается только осенью, а период беременности благородного оленя намного меньше года, – 236 дней. В настоящее время “Rīgas meži” в соответствии с регламентом продолжает искать наиболее подходящие решения в отношении стада благородных оленей.
Наиболее вероятным решением будет перемещение оленей в другой регион. За последние несколько дней предприятие «Rīgas meži» получило несколько предложений такого рода, в том числе и от частных лиц, но решение по этому поводу ещё е принято.
